无障碍
适老模式
当前位置:
事后公开
> > 内容阅读
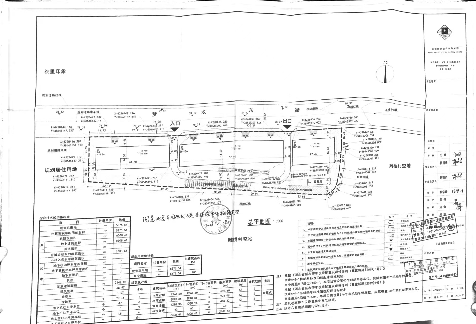
正定县自然资源和规划局关于正定美居商业项目办理乡村建设规划许可证的公告
发布时间:2026-03-20
来源:正定县自然资源和规划局
发文字号:
【字体:
大
中
小
】
打印
正定县自然资源和规划局关于正定美居商业项目办理乡村建设规划许可证的公告